土地刈谷市井ケ谷町松根D
支払例
※中京銀行/借入金2,428万円、返済期間35年、金利0.450%(変動)の場合
※審査により金利は変わる可能性があります。
物件概要
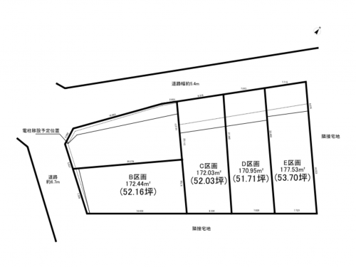
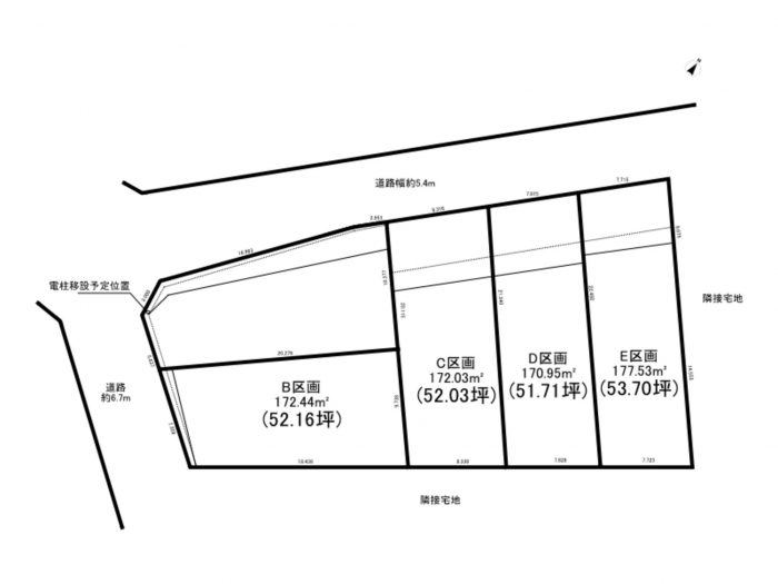
- 所在地
- 刈谷市井ケ谷町松根D
- 価格
- 2,428 万円
- 交通
-
バス停愛知教育大前 まで 徒歩3分
- 接道状況
- 北西側 公道5.4m 間口約7.8m
- 土地面積
- 170.93㎡ (51.70坪)
- 建ぺい率
- 40%
- 容積率
- 100%
- 土地権利
- セットバック
- 無し
- 小学校区
- 富士松北
- 中学校区
- 富士松
- 私道負担
- 無
- 建築条件
- ー
- 地目
- 宅地
- 現況
- 更地
- 引渡時期
- 相談
- 上水道
- 下水道
- ガス
- 都市計画
- 市街化区域
- 用途地域
- 1種低層
- 設備・条件
- 備考
- 取引態様
- 仲介
刈谷市井ケ谷町周辺の土地
-
土地 刈谷市井ケ谷町松根C
月々支払例:62,929円* *35年ローン / 金利0.450%の場合 ※審査により金利は変わる可能性があります。
詳しくは詳細ページをご覧ください。写真充実 区画図有更新日:2026/04/25
-
PRICE DOWN土地 刈谷市井ケ谷町松根B号地
月々支払例:63,007円* *35年ローン / 金利0.450%の場合 ※審査により金利は変わる可能性があります。
詳しくは詳細ページをご覧ください。写真充実 区画図有更新日:2026/04/25
-
土地 刈谷市井ケ谷町松根E
月々支払例:63,521円* *35年ローン / 金利0.450%の場合 ※審査により金利は変わる可能性があります。
詳しくは詳細ページをご覧ください。写真充実 区画図有更新日:2026/04/25
-
PRICE DOWN土地 刈谷市井ケ谷町井田5号地
月々支払例:54,050円* *35年ローン / 金利0.450%の場合 ※審査により金利は変わる可能性があります。
詳しくは詳細ページをご覧ください。区画図有更新日:2026/04/25
-
土地 刈谷市井ケ谷町井田
月々支払例:****円* *35年ローン / 金利0.450%の場合 ※審査により金利は変わる可能性があります。
詳しくは詳細ページをご覧ください。区画図有更新日:2026/04/25
*35年ローン / 金利0.450%の場合
※審査により金利は変わる可能性があります。
詳しくは詳細ページをご覧ください。
この物件は419人の
方が興味を持っています

